Información taxonómica
Reino: Animalia
Filo: Arthropoda
Clase: Insecta
Orden: Lepidoptera
Familia: Notodontidae
Subfamilia: Heterocampinae
Género: Hapigia
Especie: H. cresus
En todos los años de investigación en el Área de Conservación Guanacaste (ACG) por el Dr. Daniel Janzen, la Dra. Winnie Hallwachs, y los Pararataxónomos y Parataxónomas se a hecho un inventario de larvas de mariposas a lo largo de más 30 años, donde se encuentran registro de esta larva Hapigia cresus de la familia (Notodontidae), (Fig.1, 2). Hay 292 registros en la base de datos, el primer registro fué encontrado el 23 de junio de 1993 a 240 metros de elevación msnm, alimentándose de la familia de plantas Fabaceae, Andira inermis, eclosionó el 23 de junio de 1993. De todos los récords hay un registro de 36 larvas que contrajeron parásitos, de los cuales hay Tachinidae, Ichneumonidae, Eulophidae.
Fig. 1. Larva de Hapigia cresus (Notodontidae), aquí se notan sus colores en último estadio. Voucher: 01-SRNP-9559-DHJ58641.jpg.
Fig. 2. Vista lateral de larva de Hapigia cresus (Notodontidae). Voucher: 03-SRNP-2115-DHJ35270.jpg
Los Notodontidae son una gran familia donde se encuentran los Hapigia cresus hay algunos de este género que no tiene especie definida, se esperan resultados de ADN para su identificación definitiva. Por ello llevan estas iniciales seguidas de un número lo cual indica que esta a la espera de ADN DHJ02 (Fig. 3).
Fig. 3. Vista lateral de larva de Hapigia cresusDHJ02 (Notodontidae). Voucher: 11-SRNP-56355-DHJ497311.jpg
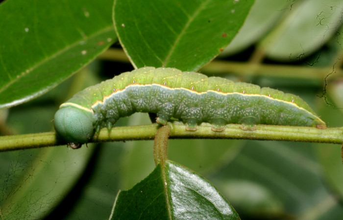
Fig. 4. Vista lateral central de larva de Hapigia cresus (Notodontidae). Voucher: 01-SRNP-9559-DHJ58636.jpg
Los Hapigia cresus tienen colores en tonalidades verde muy marcadas los cuales se mezclan conel amarillo y el naranja haciendo que la fusión de colores sea maravillosa, en sus propatas tienen como pelitos además de poseer una especie de ventosas para poder adherirse a su planta hospedera, (Fig. 4).
Fig. 5. Vista de la cabeza de Hapigia cresusDHJ02 (Notodontidae), alimentándose de su planta hospedera, (Fabaceae), Andira inermis. Voucher: 11-SRNP-56355-DHJ497313.jpg.
Fig. 6. Vista dorsal de Hapigia cresusDHJ02 (Notodontidae), posada sobre su planta hospedera Andira inermis, de la familia (Fabaceae). Voucher: 11- SRNP-56355-DHJ497309.jpg.
Aquí una pequeña diferencia entre Hapigia cresus y Hapigia cresusDHJ02, son la coloración que poseen en su parte posterior. (Fig.7, 8).
Fig. 8. Vista dorsal trasera de Hapigia cresus (Notodontidae), posada sobre su planta hospedera Andira inermis, de la familia (Fabaceae). Voucher: 01- SRNP-9559-DHJ58634.jpg.
Parásitos de Hapigia cresus:
El Hapigia cresus tienen muy pocos agentes parasitarios entre los cuales hay de la familias: Tachinidae, Eulophidae, Euplectrus magdae (Fig. 9, 10, 11), también Ichneumonidae Microcharops tibialisDHJ10 (Fig. 12, 13).
Fig. 9. Vista lateral de Hapigia cresusDHJ02 (Notodontidae), posada sobre su planta hospedera, con larvas parásitas de la familia (Eulophidae), Euplectrus magdae. Voucher: 11-SRNP-56372- DHJ497341.jpg.
Fig. 10. Vista dorsal de Hapigia cresusDHJ02 (Notodontidae), posada sobre su planta hospedera, con larvas parásitas de la familia (Eulophidae), Euplectrus magdae. Voucher: 11-SRNP-56372-DHJ497346.jpg.
Fig. 11. Vista lateral de Hapigia cresus (Notodontidae), posada sobre su planta hospedera, con larvas parásitas de la familia (Eulophidae), Euplectrus magdae. Voucher: 11-SRNP-56373-DHJ497349.jpg.
Fig. 12. Vista del capullo del parásito Microcharops tibialisDHJ10, de la familia (Ichneumonidae), junto a restos del cuerpo Hapigia cresus (Notodontidae). Voucher: 13-SRNP-56053-DHJ492099.jpg.
Fig. 13. Vista de restos de la larva de Hapigia cresus (Notodontidae), abajo el capullo del parásito Microcharops tibialisDHJ10, de la familia (Ichneumonidae). Voucher: 13-SRNP-56053-DHJ492102.jpg.
Los adultos de Hapigia cresus (Notodontidae):
Éstos poseen una coloración café con variedad de tonos los cuales mezcla a la perfección con un crema que les permite esfumarse de los depredadores, (Figs, 14,15,16,17,18,19).
Planta hospedera de Hapigia cresus (Notodontidae):
Fabaceae, Andira inermis
Se le conoce comúnmente como Almendro de montaña.
Su distribución va desde México, Bolivia, Brasil, Colombia, Ecuador, Perú, Venezuela y las Antillas. En Costa Rica se encuentra en ambas vertientes, a una altura sobre el nivel del mar de 0 a 1000 metros.
Es un árbol de entre 6 a 30 m.
Tronco con ramitas glabras y verdes.
Hojas imparipinnadas, alternas, base obtusa, el raquis de 12 a 20 cm.
Flores purpuras de 10 mm, campanulado.
Frutos de 2.5 a 5 cm de diámetros globoso a ovalados y leñosos.
Habita en bosque húmedo, muy húmedo y seco. Sus flores se observan en enero a septiembre y diciembre, los frutos de marzo a noviembre.
Bibliografía: Florula digital- Página de especies de plantas. sura.ots.ac.cr




































