Coutarea hexandra, (Rubiaceae)
Area de Conservación Guanacaste (ACG), Costa Rica
Inventario de las Plantas de ACG
Jorge Hernández, Parataxónomo
Jorge.hernandez@acguanacaste.ac.cr
Coutarea hexandra (Rubiaceae): Arbol de 6 metros de altura creciendo en un hábitad con bosques secundarios a una elevación de 0 a 600metros de altura del mar, esta familia es silvestre nativa de bosques tropicales húmedos en la parte caribe en bosques en regeneración, (Rubiaceae) es una de las familias de plantas mas grandes que existen con una gran variedad de géneros y especies con muchos tipos de flores con colores muy diferentes como Coutarea hexandra esta tiene flores lilas muy llamativas por los polinizadores como abejas mariposas y colibrí, la época de floración es julio y agosto, (Fig. 1–2)
Figura. 1 Habitad Coutarea hexandra, (Rubiaceae). Area de Conservación Guanacaste, Sector Rincón Rain Forest, Estación Leiva, Sendero Selva, (elevación 491 metros), colectada el 30 Julio 2022. Foto, Jorge Hernández.
Figura. 2 Habitad Coutarea hexandra, (Rubiaceae). Area de Conservación Guanacaste, Sector Rincón Rain Forest, Estación Leiva, Sendero Selva, (elevación 491 metros), colectada el 30 Julio 2022. Foto, Jorge Hernández.
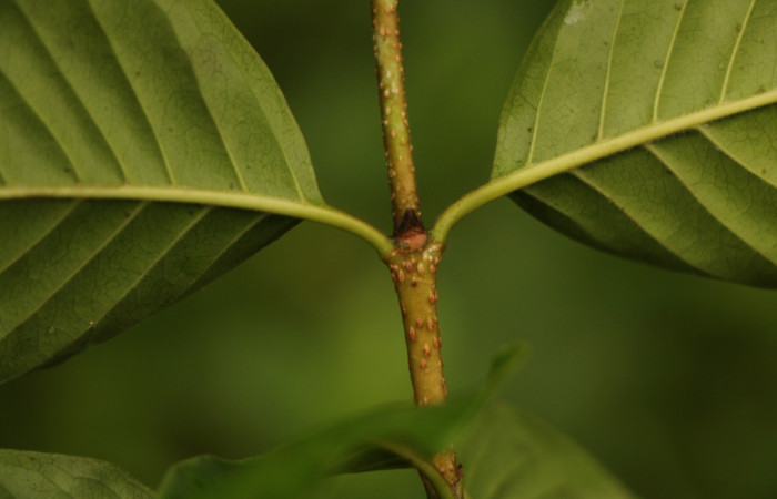
Coutarea hexandra (Rubiaceae): Hojas simples opuestas con estípulas caedizas laterales triangulares de color negra con la base rojiza , hojas con margen entero, peciolo lanceado, con haz verde y envés vede claro, con la corteza café clara fisurada fina con diámetro de 55 cm (Fig. 3–4-5-6-7).
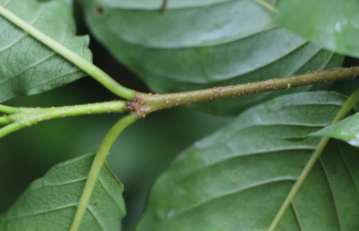
Figura. 3 Posición de hojas Coutarea hexandra, (Rubiaceae). Area de Conservación Guanacaste, Sector Rincón Rain Forest, Estación Leiva, Sendero Selva, (elevación 491 metros), colectada el 30 Julio 2022. Foto, Jorge Hernández.
Figura. 4 Hoja envés Coutarea hexandra, (Rubiaceae). Area de Conservación Guanacaste, Sector Rincón Rain Forest, Estación Leiva, Sendero Selva, (elevación 491 metros), colectada el 30 Julio 2022. Foto, Jorge Hernández.
Figura. 5 Hoja haz Coutarea hexandra, (Rubiaceae). Area de Conservación Guanacaste, Sector Rincón Rain Forest, Estación Leiva, Sendero Selva, (elevación 491 metros), colectada el 30 Julio 2022. Foto, Jorge Hernández.
Figura. 6 Estipulas Coutarea hexandra, (Rubiaceae). Area de Conservación Guanacaste, Sector Rincón Rain Forest, Estación Leiva, Sendero Selva, (elevación 491 metros), colectada el 30 Julio 2022. Foto, Jorge Hernández.
Figura. 7 corteza Coutarea hexandra, (Rubiaceae). Area de Conservación Guanacaste, Sector Rincón Rain Forest, Estación Leiva, Sendero Selva, (elevación 491 metros), colectada el 30 Julio 2022. Foto, Jorge Hernández.
Coutarea hexandra (Rubiaceae): Flores de color lila ubicadas en puntas de ramas, flores de forma tubular con seis pétalos de forma enrollada hacia atrás, con la parte central pronunciada con los estambres de color blanco cremoso, anteras alargadas de color café con el estigma verde claro con una abertura lateral ubicado a un lado de los estambres, estilo verde claro alargado, cáliz verde claro con brácteas alargadas y botones flrorales en forma alargado engrosado en la parte de los pétalos, (Fig. 8-9-10-11-12-13-14-15-16-17).
Figura. 8 Flores en rama Coutarea hexandra, (Rubiaceae). Area de Conservación Guanacaste, Sector Rincón Rain Forest, Estación Leiva, Sendero Selva, (elevación 491 metros), colectada el 30 Julio 2022. Foto, Jorge Hernández.
Figura. 9 Flores en racimo Coutarea hexandra, (Rubiaceae). Area de Conservación Guanacaste, Sector Rincón Rain Forest, Estación Leiva, Sendero Selva, (elevación 491 metros), colectada el 30 Julio 2022. Foto, Jorge Hernández.
Figura. 10 Flor de frente Coutarea hexandra, (Rubiaceae). Area de Conservación Guanacaste, Sector Rincón Rain Forest, Estación Leiva, Sendero Selva, (elevación 491 metros), colectada el 30 Julio 2022. Foto, Jorge Hernández.
Figura. 11 Flor lateral Coutarea hexandra, (Rubiaceae). Area de Conservación Guanacaste, Sector Rincón Rain Forest, Estación Leiva, Sendero Selva, (elevación 491 metros), colectada el 30 Julio 2022. Foto, Jorge Hernández.
Figura. 12 Flor y botón Coutarea hexandra, (Rubiaceae). Area de Conservación Guanacaste, Sector Rincón Rain Forest, Estación Leiva, Sendero Selva, (elevación 491 metros), colectada el 30 Julio 2022. Foto, Jorge Hernández.
Figura. 13 Botón Coutarea hexandra, (Rubiaceae). Area de Conservación Guanacaste, Sector Rincón Rain Forest, Estación Leiva, Sendero Selva, (elevación 491 metros), colectada el 30 Julio 2022. Foto, Jorge Hernández.
Figura. 14 Flor semi diseccionada Coutarea hexandra, (Rubiaceae). Area de Conservación Guanacaste, Sector Rincón Rain Forest, Estación Leiva, Sendero Selva, (elevación 491 metros), colectada el 30 Julio 2022. Foto, Jorge Hernández.
Figura. 15 Flor vertical con estambre Coutarea hexandra, (Rubiaceae). Area de Conservación Guanacaste, Sector Rincón Rain Forest, Estación Leiva, Sendero Selva, (elevación 491 metros), colectada el 30 Julio 2022. Foto, Jorge Hernández.
Figura. 16 Flor lateral con estambre Coutarea hexandra, (Rubiaceae). Area de Conservación Guanacaste, Sector Rincón Rain Forest, Estación Leiva, Sendero Selva, (elevación 491 metros), colectada el 30 Julio 2022. Foto, Jorge Hernández.
Figura. 17 Botón Coutarea hexandra, (Rubiaceae). Area de Conservación Guanacaste, Sector Rincón Rain Forest, Estación Leiva, Sendero Selva, (elevación 491 metros), colectada el 30 Julio 2022. Foto. Jorge Hernández.
En la planta Coutarea hexandra podemos encontrar gran variedad de larvas alimentándose en ella, estas larvas las podemos encontrar en bosque seco y lluvioso las podemos encontrar en los siguientes sectores: Sector Cacao, Sector Del Oro, Sector El Hacha, Sector Mundo Nuevo, Sector Orosi, Sector Pitilla, Sector Rincón Rain Forest, Sector San Cristóbal, Sector Santa María y Sector Santa Rosa, en cada uno de estos sectores podemos encontrar un grupo de 2,4,3,1 de Parataxónomos y Parataxónomas llevando a cabo sus trabajos, buscando orugas o larvas de mariposas y otros compañeros trabajan con plantas.
Larva Polyctor polyctor (Hesperiidae) alimentándose en Coutarea hexandra: Es de color verde amarillento con puntos blancos en todo su dorso, cabeza café oscuro con un par de ojos falsos color amarillos, (Fig. 18).
Adulto Polyctor polyctor: Color crema con manchas color café en sus alas posteriores y anteriores, con su abdomen color café, (Fig. 19).
Figura. 18 Larva Polyctor polyctor (Hesperiidae), posición dorsal entero alimentándose en Coutarea hexandra, (Rubiaceae). (00-SRNP-14431-DHJ55620.jpg).
Figura. 19 Adulto Polyctor polyctor (Hesperiidae), posición vista dorsal. (00-SRNP-14432-DHJ31986).
Larva Rothschildia erycina (Saturniidae): Color blanca con franjas color naranjas y negras en todo su dorso, con espinas negras urticantes con su cabeza negra, (Fig. 20).
Adulto Rothschildia erycina: Color café rojizo con manchas negras y blancas, líneas amarillas en sus alas posteriores y anteriores, con el submargen color café claro, (Fig.21).
Figura. 20 Larva Rothschildia erycina (Saturniidae), posición dorsal entero alimentándose en Coutarea hexandra, (Rubiaceae). (80-SRNP-229-DHJ1408.jpg).
Figura. 21 Adulto Rothschildia erycina (Hesperiidae), posición vista dorsal. (00-SRNP-10979.37-DHJ31321).
Larva Simopteryx torquatariaDHJ02 (Geometridae): Color blanca con líneas y manchas negras y amarillas en todo su dorso, (Fig. 22).
Adulto Simopteryx torquatariaDHJ02: Color amarilla con manchas café y abdomen color amarillo, (Fig.23).
Figura. 22 Larva Simopteryx torquatariaDHJ02 (Geometridae), posición dorsal entero alimentándose en Coutarea hexandra, (Rubiaceae). (17-SRNP-71532-DHJ738151.jpg).
Figura. 23 Adulto Simopteryx torquatariaDHJ02 (Geometridae), posición vista dorsal. (04-SRNP-2245-DHJ326207).


























