Fig. 1. Adulto: <i>Tecmessa dandon</i>. Area de Conservación Guanacaste, Sector Cacao, Estación Cacao, elevación 1150 m.s.n.m,(03-SRNP-22550-DHJ301340.jpg), posición dorsal, hembra.Fig. 1. Adulto: Tecmessa dandon. Area de Conservación Guanacaste, Sector Cacao, Estación Cacao, elevación 1150 m.s.n.m,(03-SRNP-22550-DHJ301340.jpg), posición dorsal, hembra.

Adulto de Tecmessa dandon. Es una mariposa nocturna(Fig.1), que por lo general la podemos  encontrar por las noches, poniendo trampas de luces o alumbrando con una lámpara las partes de abajo de las hojas, o también las podemos ver volando cerca de los bombillos de las casas, es una mariposa pequeña de aproximadamente de 46 mm a 50 mm. El adulto de esta mariposa es de color blanco con manchas negras y un poco de café en la parte de arriba, en la parte de abajo tiene un color grisaceo. (Fig.2-3-4-5).

Hay otra mariposa muy parerecida tambien de la Familia Notodontidae,Tecmessa rarata de color blanco, en las alas posteriores tiene líneas negras en forma de picos, las  alas anteriores son totalmente blancas. (Fig.6-7-8-9).

Fig. 2. Adulto: <i>Tecmessa dandon</i>. Area de Conservación Guanacaste, Sector Santa Rosa, Finca Jenny, elevación 205 m.s.n.m,(95-SRNP-9849-DHJ32562.jpg), posición dorsal, hembra.Fig. 2. Adulto: Tecmessa dandon. Area de Conservación Guanacaste, Sector Santa Rosa, Finca Jenny, elevación 205 m.s.n.m,(95-SRNP-9849-DHJ32562.jpg), posición dorsal, hembra. Fig. 3. Adulto: <i>Tecmessa dandon</i>. Area de Conservación Guanacaste, Sector Cacao, Puente Gongora, elevación 540 m.s.n.m,(95-SRNP-47383-DHJ322438.jpg), posición dorsal, macho.Fig. 3. Adulto: Tecmessa dandon. Area de Conservación Guanacaste, Sector Cacao, Puente Gongora, elevación 540 m.s.n.m,(95-SRNP-47383-DHJ322438.jpg), posición dorsal, macho. 
 Fig. 4. Adulto: <i>Tecmassa dandon</i>. Area de Conservación Guanacaste, Sector Santa Rosa, Finca Jenny, elevación 205 m.s.n.m,(95-SRNP-9849-DHJ32563.jpg), posición dorsal, hembra.Fig. 4. Adulto: Tecmassa dandon. Area de Conservación Guanacaste, Sector Santa Rosa, Finca Jenny, elevación 205 m.s.n.m,(95-SRNP-9849-DHJ32563.jpg), posición dorsal, hembra.  Fig. 5. Adulto: <i>Tecmessa dandon</i>. Area de Conservación Guanacaste, Sector Cacao, Puente Gongora, elevación 540 m.s.n.m,(95-SRNP-47383-DHJ322439.jpg), posición ventrtal, macho.Fig. 5. Adulto: Tecmessa dandon. Area de Conservación Guanacaste, Sector Cacao, Puente Gongora, elevación 540 m.s.n.m,(95-SRNP-47383-DHJ322439.jpg), posición ventrtal, macho.

 

Adultos de Tecmessa rarata

Fig. 6. Adulto: <i>Tecmessa rarata</i>. Area de Conservación Guanacaste, Sector Mundo Nuevo , Vado Ficus, elevación 375 m.s.n.m,(07-SRNP-58743-DHJ382088.jpg), posición dorsal, hembra.Fig. 6. Adulto: Tecmessa rarata. Area de Conservación Guanacaste, Sector Mundo Nuevo , Vado Ficus, elevación 375 m.s.n.m,(07-SRNP-58743-DHJ382088.jpg), posición dorsal, hembra.  Fig. 7. Adulto: <i>Tecmessa rarata</i>. Area de Conservación Guanacaste, Sector Mundo Nuevo, Vado Ficus, elevación 375 m.s.n.m,(07-SRNP-58743-DHJ382089.jpg), posición ventral, hembra.Fig. 7. Adulto: Tecmessa rarata. Area de Conservación Guanacaste, Sector Mundo Nuevo, Vado Ficus, elevación 375 m.s.n.m,(07-SRNP-58743-DHJ382089.jpg), posición ventral, hembra.
 Fig. 8. Adulto: <i>Tecmessa rarata</i>. Area de Conservación Guanacaste, Sector Mundo Nuevo, Sendero Sainos, elevación 397 m.s.n.m,(07-SRNP-58333-DHJ382092.jpg), posición dorsal, macho.Fig. 8. Adulto: Tecmessa rarata. Area de Conservación Guanacaste, Sector Mundo Nuevo, Sendero Sainos, elevación 397 m.s.n.m,(07-SRNP-58333-DHJ382092.jpg), posición dorsal, macho.  Fig. 9. Adulto: <i>Tecmessa rarata</i>. Area de Conservación Guanacaste, Sector Mundo Nuevo, Sendero Sainos, elevación 397 m.s.n.m,(07-SRNP-58333-DHJ382093.jpg), posición ventral, macho.Fig. 9. Adulto: Tecmessa rarata. Area de Conservación Guanacaste, Sector Mundo Nuevo, Sendero Sainos, elevación 397 m.s.n.m,(07-SRNP-58333-DHJ382093.jpg), posición ventral, macho.

Cuando estas mariposas de Tecmessa dandon y Tecmessa rarata, ponen los huevos los pone por encima de la hoja pone 2 a 3 huevos en una misma rama, durán para nacer entre10 a 15 días y las larvas cuando nacen son de color negras con dos colitas en la parte de atrás y dos antenitas por la cabeza, cuando están en primer estadio uno los encuentra comiendo encima de la hoja las dos son muy similares cuando estan muy pequeñas, solo se pueden distinguir en ultimo estadio (Fig. 10-11) Tecmessa rarata.

Fig. 10. Larva primer estadio: <i>Tecmessa rarata</i>. Area de Conservación Guanacaste, Sector Cacao, Sendero Derrumbe, elevación 1220 m.s.n.m,(07-SRNP-2909-DHJ44497.jpg), posición dorsal.Fig. 10. Larva primer estadio: Tecmessa rarata. Area de Conservación Guanacaste, Sector Cacao, Sendero Derrumbe, elevación 1220 m.s.n.m,(07-SRNP-2909-DHJ44497.jpg), posición dorsal.
Fig. 11. Larva último estadio: <i>tecmessa rarata</i>. Area de Conservación Guanacaste, Sector Cacao, Naranjales, elevación 1030 m.s.n.m,(02-SRNP-24403-DHJ70809.jpg), posición dorsal.Fig. 11. Larva último estadio: tecmessa rarata. Area de Conservación Guanacaste, Sector Cacao, Naranjales, elevación 1030 m.s.n.m,(02-SRNP-24403-DHJ70809.jpg), posición dorsal.

Adulto:Tecmessa dandon. Area de Conservación Guanacaste, Sector Cacao, Estación Cacao, elevación 1150 m.s.n.m. (97-SRNP-10172-DHJ32564.jpg).

 Larva de Tecmessa dandon en último estadio.

Cuando uno las encuentra en ultimo estadio los colores que tienen estas larvas son muy lindos y muy llamativos, larva de color amarillo con una franja roja en la parte dorsal, con una línea de puntos negros en el costado, en la parte de atrás un par de colitas negras y puntos negros, cabeza negra, si uno la toca un poco levanta la parte de adelante y la parte de atras eso lo hace como defensa para los depredadortes, (Pájaros).(Fig.12-13-14-15).

Fig. 12. Larva último estadio: <i>Tecmessa dandon</i>. Area de Conservación Guanacaste, Sector Santa Rosa, Bosque San Emilio, elevación 300 m.s.n.m,(07-SRNP-7261-DHJ24633.jpg), posición dorsal.Fig. 12. Larva último estadio: Tecmessa dandon. Area de Conservación Guanacaste, Sector Santa Rosa, Bosque San Emilio, elevación 300 m.s.n.m,(07-SRNP-7261-DHJ24633.jpg), posición dorsal.  Fig. 13. Larva último estadio: <i>Tecmessa dandon</i>. Area de Conservación Guanacaste, Sector Santa Rosa, Bosque San Emilio, elevación 300 m.s.n.m,(07-SRNP-7261-DHJ24616.jpg), posición dorsal.Fig. 13. Larva último estadio: Tecmessa dandon. Area de Conservación Guanacaste, Sector Santa Rosa, Bosque San Emilio, elevación 300 m.s.n.m,(07-SRNP-7261-DHJ24616.jpg), posición dorsal.
 Fig. 14. Larva último estadio: <i>Tecmessa dandon</i>. Area de Conservación Guanacaste, Sector Santa Rosa, Bosque San Emilio, elevación 300 m.s.n.m,(07-SRNP-7261-DHJ24609.jpg).Fig. 14. Larva último estadio: Tecmessa dandon. Area de Conservación Guanacaste, Sector Santa Rosa, Bosque San Emilio, elevación 300 m.s.n.m,(07-SRNP-7261-DHJ24609.jpg).  Fig. 15. Larva último estadio: <i>Tecmessa dandon</i>. Area de Conservación Guanacaste, Sector Santa Rosa, Bosque San Emilio, elevación 300 m.s.n.m,(07-SRNP-7261-DHJ24601.jpg), posición frontal.Fig. 15. Larva último estadio: Tecmessa dandon. Area de Conservación Guanacaste, Sector Santa Rosa, Bosque San Emilio, elevación 300 m.s.n.m,(07-SRNP-7261-DHJ24601.jpg), posición frontal.

 Capullo de Tecmessa dandon:

Cuando la larva de Tecmessa dandon  se encuentra en ultimo estadío dura pocos días comiendo, luego de 4 a 5 días pasa hacer la prepupa donde comienza a tejer su propio capullo y 2 a 4 días forma la pupa, capullo de color grisaceo.( Fig.16-17).

Fig. 16. Capullo: <i>Tecmessa dandon</i>. Area de Conservación Guanacaste, Sector Santa Rosa, Bosque San Emilio, elevación 300 m.s.n.m,(95-SRNP-7261-DHJ24639.jpg).Fig. 16. Capullo: Tecmessa dandon. Area de Conservación Guanacaste, Sector Santa Rosa, Bosque San Emilio, elevación 300 m.s.n.m,(95-SRNP-7261-DHJ24639.jpg). 

Fig. 17. Capullo: <i>Tecmessa dandon</i>. Area de Conservación Guanacaste, Sector Mundo Nuevo, Bosque San Emilio, elevación 470 m.s.n.m,(07-SRNP-60252-DHJ462099.jpg).Fig. 17. Capullo: Tecmessa dandon. Area de Conservación Guanacaste, Sector Mundo Nuevo, Bosque San Emilio, elevación 470 m.s.n.m,(07-SRNP-60252-DHJ462099.jpg).

Parásito de Tecmessa dandon:

Hasta el momento está especie de larva no es muy buena en cuanto a recolección de parasitos se refiere, solamente hay una avispa de la Familia, Ichneumonidae, Enicospilus Gauld102.(Fig.18-19).

Fig 18. (Capullo de Avispa) Ichneumonidae, <i>Enicospilus</i> Gauld 102, <i>Tecmessa dandon</i>. Sector Mundo Nuevo, Vado Licania, elevación 470 m.s.n.m (00-SRNP-9873DHJ462100.jpg).Fig 18. (Capullo de Avispa) Ichneumonidae, Enicospilus Gauld 102, Tecmessa dandon. Sector Mundo Nuevo, Vado Licania, elevación 470 m.s.n.m (00-SRNP-9873DHJ462100.jpg).
Fig 19. (Capullo de Avispa) Ichneumonidae, <i>Enicospilus</i> Gauld 102, <i>Tecmessa dandon</i>. Sector Mundo Nuevo, Vado Licania, elevación 470 m.s.n.m (00-SRNP-9873DHJ462101.jpg).Fig 19. (Capullo de Avispa) Ichneumonidae, Enicospilus Gauld 102, Tecmessa dandon. Sector Mundo Nuevo, Vado Licania, elevación 470 m.s.n.m (00-SRNP-9873DHJ462101.jpg).

 Plantas hospederas de  Tecmessa dandon

Hasta el momento solo se han encontrado en dos especies de plantas.

Xylosma flexuosa

Arbustos o árboles pequeños 4–9 m de alto, con espinas ramificadas en el tronco y espinas largas en axilas de las hojas.

Hojas simples alternas de forma lanceoladas, 4–9.5 cm de largo y 1.5–5 cm de ancho, ápice agudo a redondeado, márgen aserrado.(Fig.20-21).

Fig 20. Plantas que come <i>Tecmessa dandon</i>, Salicaceae, <i>Xylosma flexuosa</i>. Sector Santa Rosa, Bosque San Emilio, elevación 300 m.s.n.m (Foto H.Ramirez Nov.2014).Fig 20. Plantas que come Tecmessa dandon, Salicaceae, Xylosma flexuosa. Sector Santa Rosa, Bosque San Emilio, elevación 300 m.s.n.m (Foto H.Ramirez Nov.2014).
Fig 21. Plantas que come <i>Tecmessa dandon</i>, Salicaceae, <i>Xylosma flexuosa</i>. Sector Santa Rosa, Bosque San Emilio, elevación 300 m.s.n.m (Foto H.Ramirez Nov.2014).Fig 21. Plantas que come Tecmessa dandon, Salicaceae, Xylosma flexuosa. Sector Santa Rosa, Bosque San Emilio, elevación 300 m.s.n.m (Foto H.Ramirez Nov.2014).

 Xylosma chloranta

Arboles pequeños, 3–6 m de alto, el tronco generalmente con espinas ramificadas grandes.

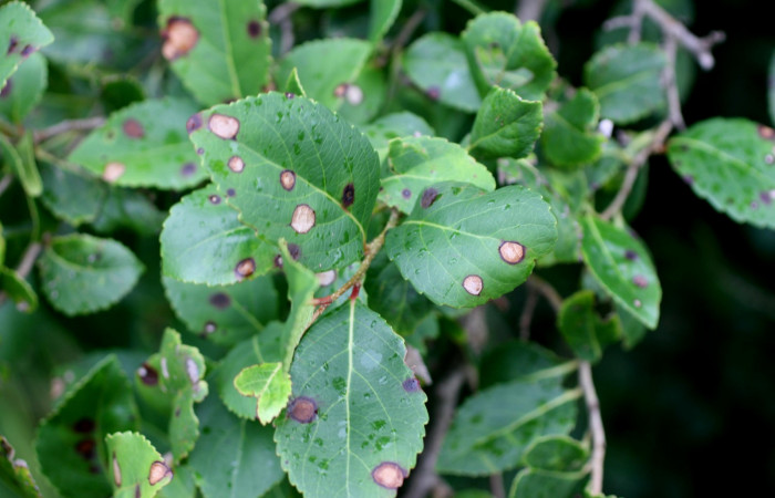
Hojas angostamente elípticas, 6–16.5 cm de largo y 1.5–6 cm de ancho, ápice largamente acuminado, base aguda, margen crenado-glandular con las glándulas en el envés.(Fig.22-23).

Fig 22. Plantas que come <i>Tecmessa dandon</i>, Salicaceae, <i>Xylosma chlorantha</i>. Sector Cacao, Bosque Sendero Arenales, elevación 1080 m.s.n.m (Foto H.Ramirez Nov.2014).Fig 22. Plantas que come Tecmessa dandon, Salicaceae, Xylosma chlorantha. Sector Cacao, Bosque Sendero Arenales, elevación 1080 m.s.n.m (Foto H.Ramirez Nov.2014).
Fig 23. Plantas que come <i>Tecmessa dandon</i>, Salicaceae, <i>Xylosma chlorantha</i>. Sector Cacao, Bosque Sendero Arenales, elevación 1080 m.s.n.m (Foto H.Ramirez Nov.2014).Fig 23. Plantas que come Tecmessa dandon, Salicaceae, Xylosma chlorantha. Sector Cacao, Bosque Sendero Arenales, elevación 1080 m.s.n.m (Foto H.Ramirez Nov.2014).

 Sectores donde se pueden encontrar las larvas y adultos de Tecmessa dandon

 Sector Santa Rosa, Bosque San Emilio, Finca Jenny.

Sector El Hacha, Sendero Bejuquilla Estación Los Almendros.

Sector Cacao, Sendero Arenales, Sendero Abajo, Sendero Maritza, Sendero Circular, Puente Gongora, Sendero Derrumbe.

Sector Horizonte, Torre Esperanza.

Sector Mundo Nuevo, Vado Licania, Vado Ficus.

Datos obtenidos del inventario de lepidoptera de ACG por el Programa de Parataxónomos. Datos actualizados a Diciembre, 2019. http://janzen.sas.upenn.edu
 

 

Fig. 1. Adulto: <i>Tecmessa dandon</i>. Area de Conservación Guanacaste, Sector Cacao, Estación Cacao, elevación 1150 m.s.n.m,(03-SRNP-22550-DHJ301340.jpg), posición dorsal, hembra.
03-SRNP-22550-DHJ301340
Fig. 1. Adulto: Tecmessa dandon. Area de Conservación Guanacaste, Sector Cacao, Estación Cacao, elevación 1150 m.s.n.m,(03-SRNP-22550-DHJ301340.jpg), posición dorsal, hembra.
Fig. 2. Adulto: <i>Tecmessa dandon</i>. Area de Conservación Guanacaste, Sector Santa Rosa, Finca Jenny, elevación 205 m.s.n.m,(95-SRNP-9849-DHJ32562.jpg), posición dorsal, hembra.
95-SRNP-9849-DHJ32562
Fig. 2. Adulto: Tecmessa dandon. Area de Conservación Guanacaste, Sector Santa Rosa, Finca Jenny, elevación 205 m.s.n.m,(95-SRNP-9849-DHJ32562.jpg), posición dorsal, hembra.
Fig. 3. Adulto: <i>Tecmessa dandon</i>. Area de Conservación Guanacaste, Sector Cacao, Puente Gongora, elevación 540 m.s.n.m,(95-SRNP-47383-DHJ322438.jpg), posición dorsal, macho.
05-SRNP-47383-DHJ322438
Fig. 3. Adulto: Tecmessa dandon. Area de Conservación Guanacaste, Sector Cacao, Puente Gongora, elevación 540 m.s.n.m,(95-SRNP-47383-DHJ322438.jpg), posición dorsal, macho.
Fig. 4. Adulto: <i>Tecmassa dandon</i>. Area de Conservación Guanacaste, Sector Santa Rosa, Finca Jenny, elevación 205 m.s.n.m,(95-SRNP-9849-DHJ32563.jpg), posición dorsal, hembra.
95-SRNP-9849-DHJ32563
Fig. 4. Adulto: Tecmassa dandon. Area de Conservación Guanacaste, Sector Santa Rosa, Finca Jenny, elevación 205 m.s.n.m,(95-SRNP-9849-DHJ32563.jpg), posición dorsal, hembra.
Fig. 5. Adulto: <i>Tecmessa dandon</i>. Area de Conservación Guanacaste, Sector Cacao, Puente Gongora, elevación 540 m.s.n.m,(95-SRNP-47383-DHJ322439.jpg), posición ventrtal, macho.
05-SRNP-47383-DHJ322439
Fig. 5. Adulto: Tecmessa dandon. Area de Conservación Guanacaste, Sector Cacao, Puente Gongora, elevación 540 m.s.n.m,(95-SRNP-47383-DHJ322439.jpg), posición ventrtal, macho.
Fig. 6. Adulto: <i>Tecmessa rarata</i>. Area de Conservación Guanacaste, Sector Mundo Nuevo , Vado Ficus, elevación 375 m.s.n.m,(07-SRNP-58743-DHJ382088.jpg), posición dorsal, hembra.
07-SRNP-58743-DHJ382088
Fig. 6. Adulto: Tecmessa rarata. Area de Conservación Guanacaste, Sector Mundo Nuevo , Vado Ficus, elevación 375 m.s.n.m,(07-SRNP-58743-DHJ382088.jpg), posición dorsal, hembra.
Fig. 7. Adulto: <i>Tecmessa rarata</i>. Area de Conservación Guanacaste, Sector Mundo Nuevo, Vado Ficus, elevación 375 m.s.n.m,(07-SRNP-58743-DHJ382089.jpg), posición ventral, hembra.
07-SRNP-58743-DHJ382089
Fig. 7. Adulto: Tecmessa rarata. Area de Conservación Guanacaste, Sector Mundo Nuevo, Vado Ficus, elevación 375 m.s.n.m,(07-SRNP-58743-DHJ382089.jpg), posición ventral, hembra.
Fig. 8. Adulto: <i>Tecmessa rarata</i>. Area de Conservación Guanacaste, Sector Mundo Nuevo, Sendero Sainos, elevación 397 m.s.n.m,(07-SRNP-58333-DHJ382092.jpg), posición dorsal, macho.
07-SRNP-58333-DHJ382092
Fig. 8. Adulto: Tecmessa rarata. Area de Conservación Guanacaste, Sector Mundo Nuevo, Sendero Sainos, elevación 397 m.s.n.m,(07-SRNP-58333-DHJ382092.jpg), posición dorsal, macho.
Fig. 9. Adulto: <i>Tecmessa rarata</i>. Area de Conservación Guanacaste, Sector Mundo Nuevo, Sendero Sainos, elevación 397 m.s.n.m,(07-SRNP-58333-DHJ382093.jpg), posición ventral, macho.
07-SRNP-58333-DHJ382093
Fig. 9. Adulto: Tecmessa rarata. Area de Conservación Guanacaste, Sector Mundo Nuevo, Sendero Sainos, elevación 397 m.s.n.m,(07-SRNP-58333-DHJ382093.jpg), posición ventral, macho.
Fig. 10. Larva primer estadio: <i>Tecmessa rarata</i>. Area de Conservación Guanacaste, Sector Cacao, Sendero Derrumbe, elevación 1220 m.s.n.m,(07-SRNP-2909-DHJ44497.jpg), posición dorsal.
98-SRNP-2909-DHJ44497
Fig. 10. Larva primer estadio: Tecmessa rarata. Area de Conservación Guanacaste, Sector Cacao, Sendero Derrumbe, elevación 1220 m.s.n.m,(07-SRNP-2909-DHJ44497.jpg), posición dorsal.
Fig. 11. Larva último estadio: <i>tecmessa rarata</i>. Area de Conservación Guanacaste, Sector Cacao, Naranjales, elevación 1030 m.s.n.m,(02-SRNP-24403-DHJ70809.jpg), posición dorsal.
02-SRNP-24403-DHJ70809
Fig. 11. Larva último estadio: tecmessa rarata. Area de Conservación Guanacaste, Sector Cacao, Naranjales, elevación 1030 m.s.n.m,(02-SRNP-24403-DHJ70809.jpg), posición dorsal.
Fig. 12. Larva último estadio: <i>Tecmessa dandon</i>. Area de Conservación Guanacaste, Sector Santa Rosa, Bosque San Emilio, elevación 300 m.s.n.m,(07-SRNP-7261-DHJ24633.jpg), posición dorsal.
95-SRNP-7261-DHJ24633
Fig. 12. Larva último estadio: Tecmessa dandon. Area de Conservación Guanacaste, Sector Santa Rosa, Bosque San Emilio, elevación 300 m.s.n.m,(07-SRNP-7261-DHJ24633.jpg), posición dorsal.
Fig. 13. Larva último estadio: <i>Tecmessa dandon</i>. Area de Conservación Guanacaste, Sector Santa Rosa, Bosque San Emilio, elevación 300 m.s.n.m,(07-SRNP-7261-DHJ24616.jpg), posición dorsal.
95-SRNP-7261-DHJ24616
Fig. 13. Larva último estadio: Tecmessa dandon. Area de Conservación Guanacaste, Sector Santa Rosa, Bosque San Emilio, elevación 300 m.s.n.m,(07-SRNP-7261-DHJ24616.jpg), posición dorsal.
Fig. 14. Larva último estadio: <i>Tecmessa dandon</i>. Area de Conservación Guanacaste, Sector Santa Rosa, Bosque San Emilio, elevación 300 m.s.n.m,(07-SRNP-7261-DHJ24609.jpg).
95-SRNP-7261-DHJ24609
Fig. 14. Larva último estadio: Tecmessa dandon. Area de Conservación Guanacaste, Sector Santa Rosa, Bosque San Emilio, elevación 300 m.s.n.m,(07-SRNP-7261-DHJ24609.jpg).
Fig. 15. Larva último estadio: <i>Tecmessa dandon</i>. Area de Conservación Guanacaste, Sector Santa Rosa, Bosque San Emilio, elevación 300 m.s.n.m,(07-SRNP-7261-DHJ24601.jpg), posición frontal.
95-SRNP-7261-DHJ24601
Fig. 15. Larva último estadio: Tecmessa dandon. Area de Conservación Guanacaste, Sector Santa Rosa, Bosque San Emilio, elevación 300 m.s.n.m,(07-SRNP-7261-DHJ24601.jpg), posición frontal.
Fig. 16. Capullo: <i>Tecmessa dandon</i>. Area de Conservación Guanacaste, Sector Santa Rosa, Bosque San Emilio, elevación 300 m.s.n.m,(95-SRNP-7261-DHJ24639.jpg).
95-SRNP-7261-DHJ24639
Fig. 16. Capullo: Tecmessa dandon. Area de Conservación Guanacaste, Sector Santa Rosa, Bosque San Emilio, elevación 300 m.s.n.m,(95-SRNP-7261-DHJ24639.jpg).
Fig. 17. Capullo: <i>Tecmessa dandon</i>. Area de Conservación Guanacaste, Sector Mundo Nuevo, Bosque San Emilio, elevación 470 m.s.n.m,(07-SRNP-60252-DHJ462099.jpg).
07-SRNP-60252-DHJ462099
Fig. 17. Capullo: Tecmessa dandon. Area de Conservación Guanacaste, Sector Mundo Nuevo, Bosque San Emilio, elevación 470 m.s.n.m,(07-SRNP-60252-DHJ462099.jpg).
Fig 18. (Capullo de Avispa) Ichneumonidae, <i>Enicospilus</i> Gauld 102, <i>Tecmessa dandon</i>. Sector Mundo Nuevo, Vado Licania, elevación 470 m.s.n.m (00-SRNP-9873DHJ462100.jpg).
07-SRNP-60252-DHJ462100
Fig 18. (Capullo de Avispa) Ichneumonidae, Enicospilus Gauld 102, Tecmessa dandon. Sector Mundo Nuevo, Vado Licania, elevación 470 m.s.n.m (00-SRNP-9873DHJ462100.jpg).
Fig 19. (Capullo de Avispa) Ichneumonidae, <i>Enicospilus</i> Gauld 102, <i>Tecmessa dandon</i>. Sector Mundo Nuevo, Vado Licania, elevación 470 m.s.n.m (00-SRNP-9873DHJ462101.jpg).
07-SRNP-60252-DHJ462101
Fig 19. (Capullo de Avispa) Ichneumonidae, Enicospilus Gauld 102, Tecmessa dandon. Sector Mundo Nuevo, Vado Licania, elevación 470 m.s.n.m (00-SRNP-9873DHJ462101.jpg).
Fig 20. Plantas que come <i>Tecmessa dandon</i>, Salicaceae, <i>Xylosma flexuosa</i>. Sector Santa Rosa, Bosque San Emilio, elevación 300 m.s.n.m (Foto H.Ramirez Nov.2014).
IMG_5886
Fig 20. Plantas que come Tecmessa dandon, Salicaceae, Xylosma flexuosa. Sector Santa Rosa, Bosque San Emilio, elevación 300 m.s.n.m (Foto H.Ramirez Nov.2014).
Fig 21. Plantas que come <i>Tecmessa dandon</i>, Salicaceae, <i>Xylosma flexuosa</i>. Sector Santa Rosa, Bosque San Emilio, elevación 300 m.s.n.m (Foto H.Ramirez Nov.2014).
IMG_5887
Fig 21. Plantas que come Tecmessa dandon, Salicaceae, Xylosma flexuosa. Sector Santa Rosa, Bosque San Emilio, elevación 300 m.s.n.m (Foto H.Ramirez Nov.2014).
Fig 22. Plantas que come <i>Tecmessa dandon</i>, Salicaceae, <i>Xylosma chlorantha</i>. Sector Cacao, Bosque Sendero Arenales, elevación 1080 m.s.n.m (Foto H.Ramirez Nov.2014).
IMG_5889
Fig 22. Plantas que come Tecmessa dandon, Salicaceae, Xylosma chlorantha. Sector Cacao, Bosque Sendero Arenales, elevación 1080 m.s.n.m (Foto H.Ramirez Nov.2014).
Fig 23. Plantas que come <i>Tecmessa dandon</i>, Salicaceae, <i>Xylosma chlorantha</i>. Sector Cacao, Bosque Sendero Arenales, elevación 1080 m.s.n.m (Foto H.Ramirez Nov.2014).
IMG_5891
Fig 23. Plantas que come Tecmessa dandon, Salicaceae, Xylosma chlorantha. Sector Cacao, Bosque Sendero Arenales, elevación 1080 m.s.n.m (Foto H.Ramirez Nov.2014).
Previous Next Play Pause

 

Contacte al autor
Email: Esta dirección de correo electrónico está siendo protegida contra los robots de spam. Necesita tener JavaScript habilitado para poder verlo.